Kersten+Partner, Mühlenweg 13, 26209 Sandkrug

Bauleitplanung

Image

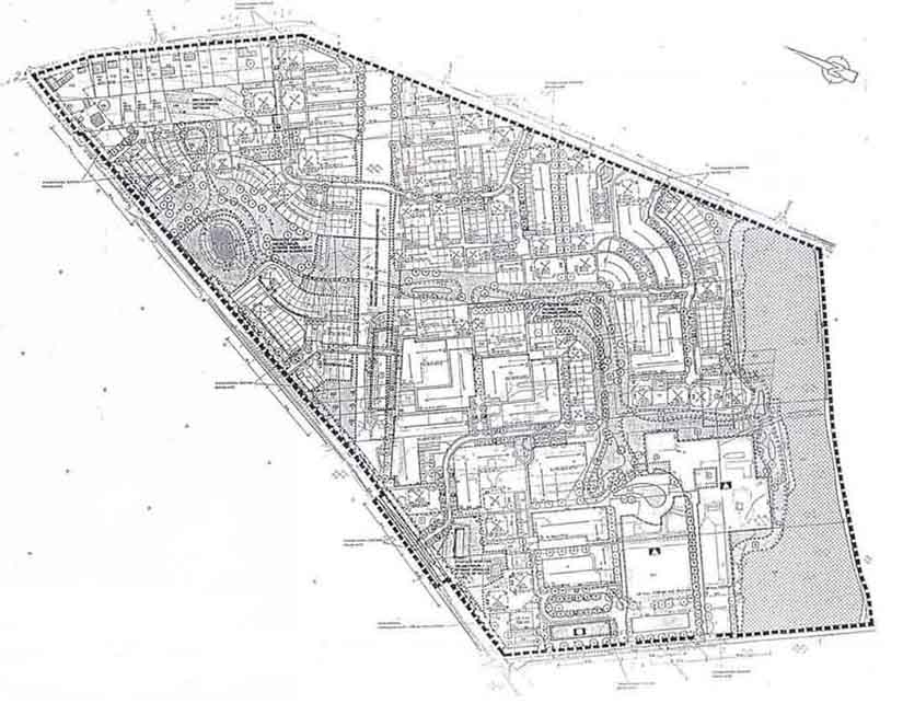
Planung für ein Wohngebiet mit ca.1200 Wohneinheiten in Brandenburg


Adresse

Kersten+Partner
Mühlenweg 13
26209 Sandkrug
 Fon: 04481-920 500
 Fax: 04481-920 501
  E-Mail:

Wetter

Oldenburg

Heute
4°C
Luftdruck: 1015 hPa
Niederschlag: 2 mm
Windrichtung: WNW
Geschwindigkeit: 22 km/h
© Deutscher Wetterdienst